市自然资源和规划局

网站首页 政府信息公开 互动交流
市自然资源和规划局>政府信息公开>规划批前公示
贤良环保环保设备制造项目规划方案批前公示
来源:市自然资源和规划局 时间:2025-06-10 16:46:33 浏览次数: 字号:[ ]

根据城乡规划管理有关规定,为广泛征求社会各界和市民的意见和建议,现按程序对宜兴市贤良环保有限公司建设的贤良环保环保设备制造项目规划方案批前公示。

一、项目概况

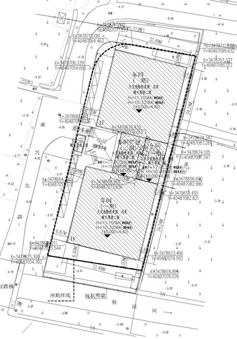
建设单位为宜兴市贤良环保有限公司。该项目位于宜兴市屺亭街道稍渎河北侧,惠兴北路东侧,具体范围:东至水田,南至稍渎河,西至惠兴北路,北至道路。该项目为园区屺亭街道违法土地完善手续项目。用地性质为工业,设计范围总用地面积约4021平方米,处罚后补办建筑及规划新建建筑面积约4159平方米(实际面积以建设工程规划许可证为准)

二、公示地点

    1.宜兴市自然资源和规划局网站(http://www.yixing.gov.cn/zrzyghj/index.shtml)

    2.基地现场

三、公示时间

    2025年6月11日——2025年6月20日

四、联系方式和意见反馈

联系地点:宜兴市自然资源和规划局(宜兴市解放路191号荆邑广场)

邮政编码:214200

联系电话:0510-87660813    0510-87669991(传真)

电子邮箱:343981921@qq.com

公示期间,如有意见或建议,请反馈我局(请注明本人身份、联系电话或地址)